認証データベースを使えば、ブランド名の裏にある本当の製造元を特定できます。この記事では、オーストラリアのEESSを使ってマキタのバッテリー充電器の製造元が田村製作所だと突き止めた実例を紹介します。
「この製品、ブランド名は書いてあるけど、実際に作っているのはどこの会社なんだろう?」
調達部門やサプライチェーンの仕事をしていると、この疑問にぶつかる場面は少なくありません。Google検索で製品名を調べても、出てくるのはブランドの公式サイトと販売店の情報ばかりです。本当の製造元にはたどり着けません。
じつは、この問題を解決する方法があります。各国の製品安全認証データベースです。
電気製品や防災機器は、各国の安全基準に適合しないと販売できません。その認証を取得するのはブランド企業ではなく、実際に製品を設計・製造している会社です。つまり認証データベースには、ブランド名の裏にいる本当の製造元の社名・住所・認証番号が登録されています。
この記事では、実際にオーストラリアの認証データベースEESSを操作し、マキタのバッテリー充電器の製造元を特定した手順を、スクリーンショット付きで共有します。
なぜ認証データベースでOEM関係がわかるのか
電気製品の安全認証は、ブランド企業ではなく実際の製造元が取得します。そのため認証データベースには製造元の社名と住所が記録されています。
電気製品を各国で販売するには、その国の安全規格への適合が必要です。オーストラリアならAS/NZS規格、米国ならUL規格、欧州ならEN規格になります。
認証を申請するのは、製品の設計・製造に責任を持つ企業です。マキタブランドのバッテリー充電器であっても、OEM供給元が別にいる場合、認証申請者はそのOEM企業になります。
各国の認証機関はこの情報を公開データベースで提供しています。誰でも無料で検索できます。
認証データベースは複数の国に存在する
製品安全認証の公開データベースは、米国・英国・オーストラリア・国際機関に存在します。国によって検索性と情報量が異なります。
主要な認証データベースを以下にまとめます。
| 国・地域 | データベース | 強制規格 | 検索性 | 特徴 |
|---|---|---|---|---|
| 米国 | UL Product iQ | UL規格 | 高い | 製品カテゴリコード(CCN)で一括検索可能 |
| 英国 | BSI認証データベース | BS規格 | 中程度 | 英国市場向け製品の認証情報 |
| オーストラリア・NZ | EESS | AS/NZS規格 | 中程度 | Trade Name+Modelの完全一致検索 |
| 国際 | IECEE CB Scheme | IEC規格 | 高い | IEC規格番号で国際横断検索が可能 |
このうちオーストラリアのEESSは、Certification Applicant(認証申請者)の社名と住所が証明書に記載されるため、OEM関係の特定に適しています。
実例 — マキタの充電器DC18RCの製造元を特定する
マキタブランドのバッテリー充電器DC18RCの認証申請者は、埼玉県坂戸市に本社を持つ田村製作所(Tamura Corporation)でした。
ここから、実際にEESSデータベースを操作した手順を紹介します。
Step 1 — EESSのAdvanced Searchを開く
EESSの公開検索画面にアクセスします。
画面上部のタブからAdvanced Searchを選び、検索対象をCertificatesに設定します。
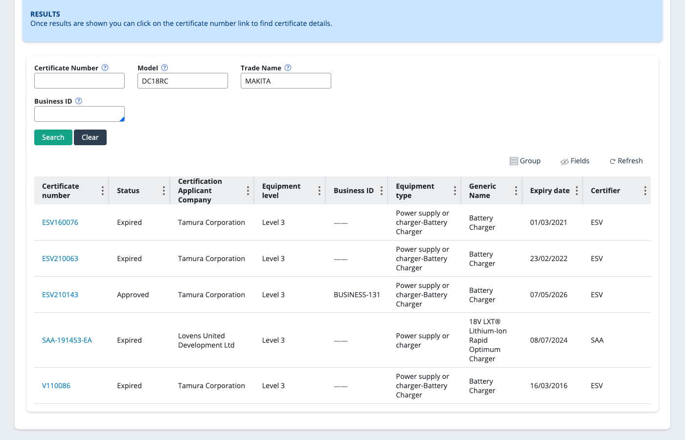
Step 2 — Trade NameとModelを入力して検索する
- Trade Name: MAKITA
- Model: DC18RC
この2つを入力してSearchボタンを押します。
Step 3 — 検索結果を確認する

5件の証明書が表示されました。
| 証明書番号 | ステータス | 認証申請者 | 有効期限 | 認証機関 |
|---|---|---|---|---|
| V110086 | Expired | Tamura Corporation | 2016/03/16 | ESV |
| ESV160076 | Expired | Tamura Corporation | 2021/03/01 | ESV |
| ESV210063 | Expired | Tamura Corporation | 2022/02/23 | ESV |
| ESV210143 | Approved | Tamura Corporation | 2026/05/07 | ESV |
| SAA-191453-EA | Expired | Lovens United Development Ltd | 2024/07/08 | SAA |
ブランド名は「MAKITA」ですが、認証申請者(Certification Applicant Company)はTamura Corporationです。4件の証明書が2011年から継続して発行されています。
もう1社、Lovens United Development Ltdという企業もSAA認証を取得していました。同じ製品に複数のOEM供給元が存在することもわかります。
証明書の詳細には住所まで記載されている
証明書ESV210143の詳細画面には、田村製作所の坂戸事業所の住所「埼玉県坂戸市千代田5-5-30」が記載されています。
検索結果の証明書番号をクリックすると、Certificate of Conformity(適合証明書)の詳細画面が開きます。

| 項目 | 内容 |
|---|---|
| Certificate no. | ESV210143/00 |
| Certificate holder business name | Tamura Corporation |
| Certificate holder address | 5-5-30 Chiyoda, Sakado-shi, Saitama 350-0214 |
| Equipment type | Power supply or charger |
| Equipment sub-type | Battery Charger |
| Date first issued | 2021/05/07 |
| Date of expiry | 2026/05/07 |
| Relevant standards | AS/NZS 60335.2.29:2017 & AS/NZS 60335.1:2020 |
| Certifier | Energy Safe Victoria (ESV) |
Equipmentタブを開くと、さらに詳しい製品仕様も確認できます。

| 項目 | 内容 |
|---|---|
| Model | DC18RC |
| Trade name | Makita |
| Input | 220-240V~, 240W, 50-60Hz |
| Output | 7.2V-18V DC, 9A |
認証データベースで得られた情報をまとめると、次のような構図が見えてきます。
- ブランド — マキタ(Makita)
- 製品 — DC18RC バッテリーチャージャー
- 実際の製造元 — 田村製作所(Tamura Corporation)、埼玉県坂戸市
- もう1社のOEM供給元 — Lovens United Development Ltd
Google検索で「マキタ DC18RC 製造元」と検索しても、この情報は出てきません。
Simple SearchとAdvanced Searchの違いに注意
EESSのSimple Searchでは「Supplier Name」しか表示されず、OEM元は見えません。Advanced SearchのCertificates検索を使う必要があります。
EESSには複数の検索モードがあります。最初に目につくSimple Searchを使うと、結果は以下のようになります。

| Trade Name | Model | Supplier Name |
|---|---|---|
| Makita | DC18RC | lovens united development ltd |
| Makita | DC18RC | MAKITA (AUSTRALIA) PTY LTD |
| Makita | DC18RC | MAKITA (AUSTRALIA) PTY LTD |
Simple Searchの「Supplier Name」は、オーストラリアでのResponsible Supplier(販売責任者)を示しています。「MAKITA (AUSTRALIA) PTY LTD」はマキタの豪州法人であり、製造元ではありません。「lovens united development ltd」も輸入業者の可能性があります。
一方、Advanced SearchのCertificates検索で表示される「Certification Applicant Company」は、認証を申請した企業、つまり製品の設計・製造に責任を持つ企業です。ここに田村製作所の名前が出てきます。
検索モードによって見える情報が違う点に注意が必要です。
他のデータベースとの併用で発見精度が上がる
EESSはモデル番号の完全一致検索のため網羅的な探索には不向きです。UL Product iQやIECEE CB Schemeと組み合わせると、業界全体の企業を俯瞰できます。
認証データベースにはそれぞれ特徴があり、1つだけでは完結しません。
| データベース | 強み | 弱み |
|---|---|---|
| EESS(豪州) | OEM元の社名・住所が判明する | モデル番号の完全一致が必要。カテゴリ検索ができない |
| UL Product iQ(米国) | 製品カテゴリコード(CCN)やキーワードで一括検索できる。例として「battery charger」で1,553件 | 企業名と認証情報のみ。住所は表示されない |
| IECEE CB Scheme(国際) | IEC規格番号で国際横断検索。例としてIEC 60335-2-29で13,047件 | 証明書単位の表示で、企業リスト化に手間がかかる |
おすすめの使い分けは次のとおりです。
1. まず業界全体を俯瞰したい — UL Product iQでキーワード検索
2. 特定企業のOEM関係を掘りたい — EESSで証明書の認証申請者を確認
3. 国際展開している企業を把握したい — IECEE CB SchemeでIEC規格番号で検索
以下、UL Product iQとIECEE CB Schemeの実際の画面を紹介します。
UL Product iQでバッテリーチャージャーメーカーを一括検索する
UL Product iQで「battery charger」を検索すると、1,553件の認証情報がヒットします。VARTA、Phoenix Contact、Delta Electronicsなどのメーカーが一覧で確認できます。
UL Product iQは、UL Solutions(旧UL)が運営する米国の製品安全認証データベースです。無料で、ログインなしでも検索できます。
検索窓に「battery charger」と入力してSearchボタンを押すと、以下のような結果が表示されます。

「1553 Results :: Keyword: "battery charger"」と表示され、認証を取得した企業名が一覧で並びます。

結果テーブルの各行には以下の情報が表示されます。
| 列名 | 内容 | 例 |
|---|---|---|
| Document | 認証ファイル番号(CCN.ファイル番号) | NMTR.E198865 |
| Company Name | 認証取得企業名 | PULS GmbH |
| Product Description | 製品カテゴリの説明 | Power Circuit and Motor-mounted Apparatus |
検索結果に含まれる主な企業を一部紹介します。
| 企業名 | 国 | 備考 |
|---|---|---|
| VARTA MICROBATTERY PTE LTD | ドイツ/シンガポール | 欧州大手バッテリーメーカー |
| PHOENIX CONTACT GmbH & Co. KG | ドイツ | 産業用電源・充電器メーカー |
| Delta Electronics Inc. | 台湾 | 世界最大級の電源メーカー |
| TDK-Lambda Corporation | 日本 | TDKグループの電源事業 |
| BEL FUSE INC | 米国 | 電源モジュールメーカー |
| Lianzheng Electronic (Shenzhen) Co Ltd | 中国 | 深圳の充電器OEMメーカー |
| ABB Power Electronics Inc. | 米国 | ABBグループ |
このように、キーワード1つで製品カテゴリの認証取得企業を一括で俯瞰できるのがUL Product iQの強みです。企業リストアップ調査の出発点として有効です。
なお、キーワード検索のため、バッテリーチャージャー以外のカテゴリ(UPS、電源装置など)の結果も一部含まれています。より正確に絞り込みたい場合は、Product Description列で製品カテゴリを確認してください。
IECEE CB Scheme — IEC規格番号で世界中のメーカーを横断検索する
IECEE CB SchemeでIEC 60335-2-29(バッテリーチャージャーの国際安全規格)を検索すると、13,047件のCB Test Certificateがヒットします。
IECEE CB Schemeは、IEC(国際電気標準会議)が運営する国際相互認証制度のデータベースです。50カ国以上の認証機関が発行したCB Test Certificateを横断検索できます。
検索窓に「IEC 60335-2-29」と入力して検索すると、以下のような結果が表示されます。IEC 60335-2-29は、マキタの充電器DC18RCのEESS証明書にも記載されていた規格(AS/NZS 60335.2.29)の国際版です。

画面左側には強力なフィルターがあり、さまざまな切り口で結果を絞り込めます。
| フィルター | 内容 | 主な値 |
|---|---|---|
| NCB | 認証機関 | DEKRA(1,638件)、Intertek Semko(1,222件)、Intertek Singapore(997件)、Eurofins(260件)、CQC(71件)、CSA Group(24件)、JET(13件)など |
| Type | 証明書タイプ | CB Test Certificateなど |
| Status | ステータス | Valid / Cancelled |
| Category | 製品カテゴリ | HOUS(家庭用機器)など |
| Scopes | 適用規格 | IEC 60335-2-29、IEC 60335-1 など |
検索結果を下にスクロールすると、各証明書の詳細が表示されます。

各証明書には以下の情報が記載されています。
| 項目 | 内容 | 例 |
|---|---|---|
| ステータス | VALID / Cancelled | VALID |
| 発行日 | 証明書の発行日 | 2010-09-15 |
| NCB | 発行した認証機関 | SGS Belgium NV - Division SGS-CEBEC |
| 証明書番号 | リンク付き(詳細画面に遷移) | BE-2190/M2 |
| Trademark | ブランド名 | MAKITAなど |
| Product | 製品名 | Battery charger |
| Manufacturer | 製造元の企業名 | Ningbo Zhenhe Electric Co. Ltd. |
| IEC Standard(s) | 適用規格一覧 | IEC 60335-1:2001, IEC 60335-2-29:2002 など |
13,047件の証明書には同一企業の複数製品が含まれるため、実際のメーカー数はこれより少なくなります。それでも、IEC規格番号1つで世界中のバッテリーチャージャーメーカーを横断検索できるのはIECEE CB Schemeならではの強みです。
NCBフィルターの件数から、認証機関別の証明書発行数もわかります。DEKRA(オランダ)が1,638件で最多、次いでIntertek Semko(スウェーデン)1,222件、Intertek Singapore 997件と続きます。バッテリーチャージャーは世界中で製造されているため、アジア・欧州・北米の認証機関が幅広く関与しています。
この方法が有効な業界・製品は?
認証データベースによるOEM特定は、強制認証が必要な製品カテゴリで有効です。電気製品、医療機器、防災機器が代表的です。
この方法は、すべての製品に使えるわけではありません。各国の安全規格で強制認証が求められる製品カテゴリに限られます。
| 製品カテゴリ | 代表的な認証 | 認証DB |
|---|---|---|
| 電気製品全般 | UL、CE、CCC | UL Product iQ、EESS |
| バッテリーチャージャー | IEC 60335-2-29、UL 1564 | UL Product iQ、IECEE、EESS |
| 医療機器 | FDA 510(k)、CE(MDR) | FDA MAUDE、EUDAMED |
| 通信機器 | FCC | FCC OET Equipment Authorization |
| 自動車部品 | ECE規則 | UNECE Type Approval |
逆に、認証が任意の製品(一般的な消費財、食品、衣料品など)では、この方法は使えません。
認証データベースはOEM調査の決定打になる
この記事で紹介した内容をまとめます。
- 認証データベースには、ブランド名ではなく実際の製造元の情報が登録されている
- オーストラリアEESSのAdvanced Search > Certificates検索で、認証申請者の社名と住所が確認できる
- マキタのバッテリー充電器DC18RCは、田村製作所(埼玉県坂戸市)が製造していることが判明した
- 同一製品に複数のOEM供給元(田村製作所、Lovens United Development Ltd)が存在することも確認できた
- UL Product iQ、IECEE CB Schemeなど、複数のデータベースを併用することで調査精度が上がる
認証データベースは、Google検索やChatGPTでは得られない情報の宝庫です。ただし、データベースごとに検索方法や表示項目が異なるため、使いこなすにはある程度の慣れが必要です。
【出典】
- EESS「Public Search - Certificate ESV210143/00」2021年5月7日発行
- UL Solutions「UL Product iQ - battery charger」
- IECEE「CB Scheme Certificates Database - IEC 60335-2-29」
- Energy Safe Victoria「Certificate of Conformity ESV210143」2021年5月7日
海外市場調査・企業リストアップ
調査のご相談は無料です。お気軽にお問い合わせください。
